The latter part of 1975 saw comet observers eagerly awaiting the arrival of a comet that was expected to provide a fine spectical. As it turbed out, this comet exceeded all expectations, and became a magnificent sight. This comet, the famous comet West, 1975n, vies with comet Bennett 1969i as the best comet of the 1970's.
Origonally recorded on photographs exposed on August 10, when the comet was magnitude 16, an extended ephemeris indicated that the comet could reach magnitude 0 at perihelion in late February 1976, although the comet would be very close to the sun at that time. Southern hemisphere observers were very favoured before perihelion and northern hemisphere observers after. Initial expectations were that the best views would be in mid March when the comet would be about magnitude 5. With the comet Kohotek debacle still fresh in everyone's mind, very little mention of the comet was made in the media.
Early visual observations during January indicated that the comet was about 2 magnitudes brighter than predicted, however by early February, the comet seemed to be conforming closely to the predicted brightness. My own observations commenced in early February, when the comet was of magnitude 5, well condensed, but with no tail visible. By mid February, comet West was an easy naked eye object in the evening twilight, at about magnitude 3 with a 1 degree tail visible to the naked eye, and a strong yellow colour. Also at this time I was trying to fit a hand drive to my telescope mount so that I could use the telescope for photography. After many days of frantic fabrication, I managed to get a workable system just as the comet was disappearing into the sun.


Comet West 1975n. February 16, 1976.
2 minutes exposure. Kodak Tri-X 400 film. 5" f/5 refractor, prime focus.

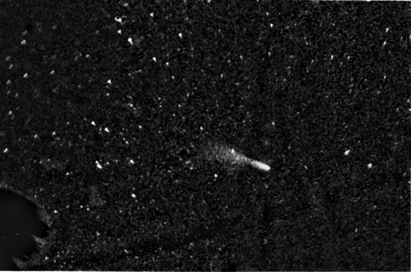
Comet West 1975n. February 17, 1976.
2 minutes exposure. Kodak Tri-X 400 film. 50mm f/2.5 lens.

Comet West 1975n. February 18, 1976.
2 minutes exposure. Kodak Tri-X 400 film. 50mm f/2.5 lens.
On February 19, the tail had doubled in length and become quite broard and fan shaped. The tail also appeared very 'streaky', probably the beginings of the very spectacular pseudosynchronus features recorded after perihelion.


Comet West 1975n. February 19, 1976.
5" f/5 refractor, 15X and 45X.
Over the next couple of days, the comet continued to brighten and the tail lengthen, despite the comet getting lower and lower into the evening twilight. The "streaks" in the tail also became more and more promient.


Comet West 1975n. February 21, 1976.
2 minutes exposure. Kodak Tri-X 400 film. 5" f/5 refractor, plus 40mm eyepiece.

Comet West 1975n. February 21, 1976.
Combination of the above two images.

Comet West 1975n. February 21, 1976.
5" f/5 refractor, 15X and 45X.
My final pre-perihelion observation was on February 24, when the comet was deep in the evening twilight. The coma was an almost star-like spot of very yellow light of magnitude 0.7, and sporting a wide tail about 3 degrees long. Efforts to follow the comet through perihelion were frustrated by smoke haze from Perth's ever present summer bush fires. Around this time the comet staged a surge in brightness which took it to magnitude -3. This rendered the comet visible to the naked eye in daylight and enabled several observers to follow the comet with the naked eye through perihelion. The cause of this brightness surge was later found to be the result of the nucleus splitting. This was first noticed on March 8, and by March 12 four distinct nuclii were visible.

By early March, the comet had moved into the pre-dawn darkness, and for northern observers, was displayed in all its glory. The brightness was about magnitude -1 and it displayed a spectacular dust tail over 30 degrees long plus a shorter ion tail. By the time the comet was accessible to southern hemisphere observers (March 16) it had faded to magnitude 3.5 and only 5 degrees of tail could be seen visually. Even so, the comet was still a fine sight.


Over the next few weeks, the comet presented a fine sight as it faded steadily and moved higher in the morning sky, in the process drifting from Equuleus towards Delphinus.


Comet West 1975n. March 17, 1976.
3 minutes exposure. Kodak Tri-X 400 film. 5" f/5 refractor, prime focus.

Comet West 1975n. March 18, 1976.
3 minutes exposure. Kodak Tri-X 400 film. 5" f/5 refractor, prime focus.

Comet West 1975n. March 19, 1976.
2 minutes exposure. Kodak Tri-X 400 film. 50mm f/2.5 lens.

Comet West 1975n. March 21, 1976.
4 minutes exposure. Kodak Tri-X 400 film. 5" f/5 refractor, prime focus.

Comet West 1975n. March 23, 1976.
5 minutes exposure. Kodak Tri-X 400 film. 50mm f/2.5 lens.

Comet West 1975n. March 23, 1976.
8 minutes exposure. Kodak Tri-X 400 film. 5" f/5 refractor, prime focus.

Comet West 1975n. March 23, 1976.
4 minutes exposure. Kodak Tri-X 400 film. 5" f/5 refractor, prime focus.

Comet West 1975n. March 23, 1976.
Combination of the above two images.

Comet West 1975n. March 24, 1976.
3 minutes exposure. Kodak Tri-X 400 film. 50mm f/2.5 lens.

Comet West 1975n. March 24, 1976.
4 minutes exposure. Kodak Tri-X 400 film. 50mm f/2.5 lens.

Comet West 1975n. March 24, 1976.
5 minutes exposure. Kodak Tri-X 400 film. 5" f/5 refractor, prime focus.

Comet West 1975n. March 24, 1976.
2 minutes exposure. Kodak Tri-X 400 film. 5" f/5 refractor, prime focus.

Comet West 1975n. March 28, 1976.
4 minutes exposure. Kodak Tri-X 400 film. 50mm f/2.5 lens.

Comet West 1975n. March 28, 1976.
7 minutes exposure. Kodak Tri-X 400 film. 5" f/5 refractor, prime focus.

Comet West 1975n. March 28, 1976.
3 minutes exposure. Kodak Tri-X 400 film. 5" f/5 refractor, prime focus.

Comet West 1975n. March 29, 1976.
5 minutes exposure. Kodak Tri-X 400 film. 50mm f/2 Yashica lens.

Comet West 1975n. March 30, 1976.
5 minutes exposure. Kodak Tri-X 400 film. 50mm f/2.5 lens.

Comet West 1975n. March 30, 1976.
3 minutes exposure. Kodak Tri-X 400 film. 5" f/5 refractor, prime focus.

Comet West 1975n. March 31, 1976.
4 minutes exposure. Kodak Tri-X 400 film. 50mm f/2.5 lens.

Comet West 1975n. April 1, 1976.
5 minutes exposure. Kodak Tri-X 400 film. 50mm f/2.5 lens.

Comet West 1975n. April 2, 1976.
5 minutes exposure. Kodak Tri-X 400 film. 5" f/5 refractor, prime focus.
By mid April it was down to magnitude 6.7 with 1 degree of tail still visible in binoculars.
